Таиланд под ударом жары и надвигающихся штормов, пока Sinlaku бушует у Японии | The CITY • Asia
events-banner

Таиланд под ударом жары и надвигающихся штормов, пока Sinlaku бушует у Японии

Таиланд входит в фазу погодной нестабильности: после пика жары страну накроют кратковременные, но потенциально опасные штормы. Хотя супертайфун Sinlaku не представляет прямой угрозы, его появление — ещё один сигнал усиления климатических экстремумов в регионе.

Купи квартиру в Таиланде

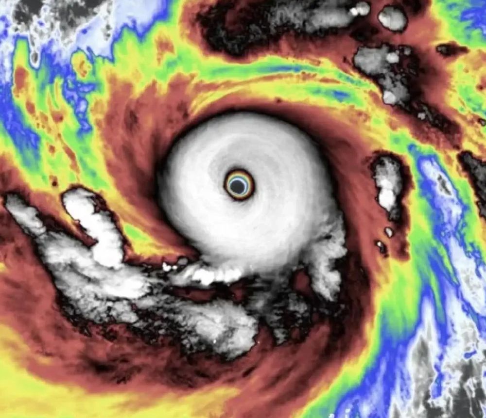
Супертайфун Sinlaku достиг 5-й категории: Таиланд готовится к жаре и мощным штормам

Супертайфун Sinlaku усилился до максимальной, 5-й категории у берегов Японии, но прямой угрозы Таиланду не несёт. Однако уже с 16 по 20 апреля страну ждёт резкая смена погоды — от экстремальной жары к грозам, сильному ветру и граду.

  • 🌪️ Категория тайфуна Sinlaku: 5 (максимальная)
  • 🌡️ Температура в Таиланде (14–15 апреля): жарко до экстремально жарко
  • ⛈️ Период штормов: 16–20 апреля
  • 🌩️ Риски: гроза, шквалы, молнии, локальный град
  • 📍 Зоны риска: север, северо-восток, верх центрального региона Таиланда

🌪️ Что происходит с тайфуном Sinlaku

Супертайфун Sinlaku стал четвёртым штормом сезона 2026 года в западной части Тихого океана. Он быстро усилился до 5-й категории — это высший уровень по шкале мощности.

  • 13–14 апреля: усиление до максимума у юго-востока Японии
  • 15–16 апреля: ожидаются дожди в Токио и соседних районах
  • После этого: тайфун уйдёт в океан и ослабнет

👉 Важно: на Таиланд Sinlaku напрямую не влияет, так как его траектория проходит далеко на востоке.


🔥 Таиланд: сначала экстремальная жара

Пока тайфун развивается в Тихом океане, в Таиланде наблюдается противоположная картина:

  • 14–15 апреля — жарко и очень жарко, особенно на севере
  • высокая влажность усиливает ощущение температуры
  • повышенная нагрузка на здоровье и энергосистему

Это типичная предштормовая ситуация: сильный прогрев атмосферы создаёт условия для резкой нестабильности.


⛈️ Затем — погодный разворот

С 16 по 20 апреля в Таиланде начнётся активная фаза летних штормов.

Причина — столкновение двух факторов:

  • горячего воздуха над страной
  • и холодных воздушных масс из Китая

Это приведёт к:

  • грозам
  • сильным порывам ветра
  • молниям
  • локальному граду

📍 Наибольший риск:

  • север Таиланда
  • северо-восток
  • верх центрального региона

Юг страны сохранит привычную картину: жара днём и локальные грозы.


⚠️ Реакция регионов: пример Сукхотая

Власти провинции Сукхотай уже перешли в режим подготовки:

  • введён круглосуточный мониторинг
  • сформированы оперативные группы реагирования
  • население предупреждают избегать:
    • открытых пространств
    • больших деревьев
    • неустойчивых конструкций

Фермерам рекомендовано срочно защищать урожай от возможного града и ветра.


🌏 Контекст: почему это важно

Такие погодные сценарии становятся всё более частыми в Таиланде и Юго-Восточной Азии:

  • экстремальная жара →
  • резкое вторжение холодного воздуха →
  • мощные локальные штормы

Это увеличивает риски:

  • для сельского хозяйства
  • городской инфраструктуры
  • и безопасности людей

Закажи трансфер

Последние новости

Туризм
Tue Apr 14 2026
Туризм
Tue Apr 14 2026
Туризм
Tue Apr 14 2026
Туризм
Tue Apr 14 2026
Туризм
Tue Apr 14 2026
Туризм
Tue Apr 14 2026
Туризм
Mon Apr 13 2026
Туризм
Mon Apr 13 2026
Туризм
Mon Apr 13 2026
Туризм
Mon Apr 13 2026

Мы инновационное медийное агентство, специализируемся на создании современных новостных платформ и эффективных кампаний цифровой рекламы. Мы специализируемся в разработке и продвижении продуктов, помогая вашему бренду выделяться. Объединяя креативность, технологии и стратегию, мы предоставляем исключительные решения, которые двигают бизнес вперед.

info@the-city.asia

(c) 2026 All rights reserved. That Agency